PRZEBUDOWA DROGI GMINNEJ W MIEJSCOWOŚCI KOLONIA
LESIÓW ODCINEK OD DROGI POWIATOWEJ DO DWORCA PKP

Ogłoszenie o zamówieniu

SIWZ z załacznikami od 1 do 7

Załącznik nr 8 - projekt budowlany

Załącznik nr 9 - STWiOR

Załącznik nr 10 - przedmiar robót

Wyjaśnienie treści SIWZ 1

Informacja z otwarcia ofert

Informacja o unieważnieniu postępowania

 

Opublikowane przez: Przemysław Kępas | Data wprowadzenia: 2017-11-08 19:23:07.
„BUDOWA OŚWIETLENIA DROGOWEGO W MIEJSCOWOŚCI
MĄKOSY STARE - LEWASZÓWKA”, „BUDOWA
OŚWIETLENIA DROGOWEGO W OWADOWIE”, „BUDOWA
OŚWIETLENIA DROGOWEGO W MIEJSCOWOŚCI WOJCIECHÓW
– KOLONIA LESIÓW”

Zapytanie ofertowe z załącznikami od 1 do 4

Załącznik nr 5 - projekt budowlany

Załącznik nr 6 - STWiOR

Załącznik nr 7 - przedmiar robót

Zawiadomienie o wyborze najkorzystniejszej oferty

 

Opublikowane przez: Przemysław Kępas | Data wprowadzenia: 2017-11-06 23:04:53.
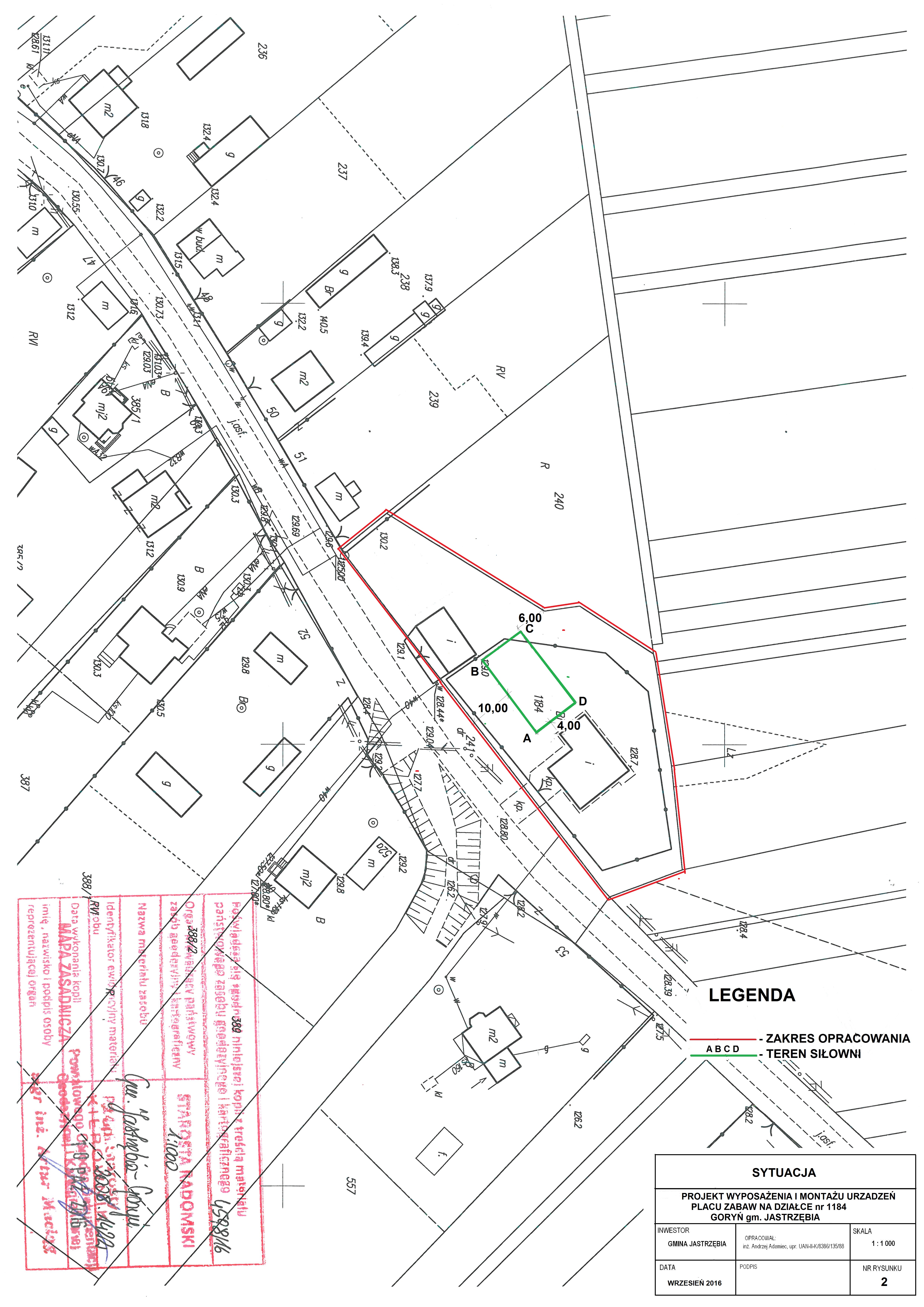
AKTYWIZACJA MIESZKAŃCÓW POPRZEZ TWORZENIE MIEJSC
REKREACJI W GMINIE JASTRZĘBIA” wykonanie
zadania pn. „Wyposażenie i montaż urządzeń
placu zabaw na działce nr 1184 w miejscowości
Goryń gmina Jastrzębia”

Zapytanie ofertowe z załącznikami od 1 do 4

Załącznik nr 5 - projekt budowlany

Załącznik nr 6 - STWiOR

Załącznik nr 7 - przedmiar robót

Załącznik nr 8 - kosztorys ofertowy

Odpowiedzi na pytania

Odpowiedzi na pytania 2

Zawiadomienie o wyborze najkorzystniejszej oferty

 

Opublikowane przez: Przemysław Kępas | Data wprowadzenia: 2017-11-02 13:27:35.
PRZEBUDOWA DROGI GMINNEJ W MIEJSCOWOŚCI KOLONIA
LESIÓW ODCINEK OD DROGI POWIATOWEJ DO DWORCA PKP

Ogłoszenie o zamówieniu

SIWZ z załacznikami od 1 do 7

Załącznik nr 8 - projekt budowlany

Załącznik nr 9 - STWiOR

Załącznik nr 10 - przedmiar robót

Kosztorys ofertowy

Zawiadomienie o unieważnieniu postępowania

 

Opublikowane przez: Przemysław Kępas | Data wprowadzenia: 2017-10-30 22:01:52.
ZAPYTANIE OFERTOWE-Zakup i montaż oznakowania
drogowego w ramach projektu "Poprawa lokalnego
systemu bezpieczeństwa poprzez zainstalowanie
systemu monitoringu i oznakowania drogowego w
miejscowości Jastrzębia w 2017 r."
 Zobacz treść zapytania

Opublikowane przez: Konrad Borowski | Data wprowadzenia: 2017-10-17 13:38:45 | Data modyfikacji: 2017-10-17 14:22:51.
ROZBUDOWA PUBLICZNEJ SZKOŁY PODSTAWOWEJ W
LESIOWIE

Ogłoszenie o zamówieniu

SIWZ z załącznikami od 1 do 8

Załącznik nr 9 - projekt budowlany

Załącznik nr 10 - STWiOR

Załącznik nr 11 - przedmiar robót

Informacja z otwarcia ofert

Zawiadomienie o wyborze najkorzystniejszej oferty

 

Opublikowane przez: Przemysław Kępas | Data wprowadzenia: 2017-10-13 18:17:11.
DOSTAWY OLEJU NAPĘDOWEGO GRZEWCZEGO W SEZONIE
ZIMOWYM 2017/2018

Ogłoszenie o zamówieniu

SIWZ z załącznikami

Informacja z otwarcia ofert

Zawiadomienie o wyborze najkorzystniejszej oferty

 

Opublikowane przez: Przemysław Kępas | Data wprowadzenia: 2017-10-04 21:05:09.
DRUGIE ZAPYTANIE OFERTOWE - Wykonanie instalacji
monitoringu w miejscowości Jastrzębia w ramach
projektu "Poprawa lokalnego bezpieczeństwa
poprzez zainstalowanie systemu monitoringu i
oznakowania drogowego w miejscowości Jastrzębia
w 2017 r.
 S22C-6e17100321060.pdf

Opublikowane przez: Konrad Borowski | Data wprowadzenia: 2017-10-03 14:50:35 | Data modyfikacji: 2017-10-03 14:51:55.
ZAPYTANIE OFERTOWE - Wykonanie instalacji
monitoringu w miejscowości Jastrzębia w ramach
projektu "Poprawa lokalnego bezpieczeństwa
poprzez zainstalowanie monitoringu i oznakowania
drogowego w miejscowości Jastrzębia w 2017r."

Unieważnienie

 Zobacz dokument

Opublikowane przez: Konrad Borowski | Data wprowadzenia: 2017-09-27 14:47:38 | Data modyfikacji: 2017-09-29 09:34:01.
ROZBUDOWA PUBLICZNEJ SZKOŁY PODSTAWOWEJ W
LESIOWIE

Ogłoszenie o zamówieniu

SIWZ z załącznikami od 1 do 8

Załącznik nr 9 - projekt budowlany

Załącznik nr 10 - STWiOR

Załącznik nr 11 - przedmiar robót

Zmiana treści SIWZ

Informacja z otwarcia ofert

Zawiadomienie o odrzuceniu ofert i unieważnieniu postępowania

 

Opublikowane przez: Przemysław Kępas | Data wprowadzenia: 2017-09-26 18:24:17 | Data modyfikacji: 2017-09-26 18:25:03.
PRZEBUDOWA DROGI GMINNEJ BARTODZIEJE -
OLSZOWA-WOLA GORYŃSKA OD SKRZYŻOWANIA Z DP 3516W
DO SKRZYŻOWANIA Z DP3518W WRAZ Z OBSŁUGĄ
TERENÓW PRZYLEGŁYCH

Ogłoszenie o zamówieniu

SIWZ z załącznikami od 1-8

Załącznik nr 9 - projekt budowlany

Załącznik nr 10 - STWiOR

Załącznik nr 11 - przedmiar robót

Zmiana ogłoszenia o ogłoszeniu

Zmiana treści SIWZ

Informacja z otwarcia ofert

Zawiadomienie o wyborze najkorzystniejszej oferty

 

Opublikowane przez: Przemysław Kępas | Data wprowadzenia: 2017-08-31 15:57:38 | Data modyfikacji: 2017-08-31 16:00:36.
ROZBUDOWA PUBLICZNEJ SZKOŁY PODSTAWOWEJ W
LESIOWIE

Ogłoszenie o zamówieniu

SIWZ z załącznikami od 1 do 8

Załącznik nr 9 - projekt budowlany

Załącznik nr 10 - STWiOR

Załącznik nr 11

Wyjaśnienie treści SIWZ 1

Wyjaśnienie treści SIWZ 2

Zmiana treści SIWZ

Załączniki od 1-7 w wersji edytowalnej

Informacja z otwarcia ofert

Zawiadomienie o unieważnieniu postępowania

 

Opublikowane przez: Przemysław Kępas | Data wprowadzenia: 2017-08-21 16:04:29 | Data modyfikacji: 2017-08-21 16:06:18.
MODERNIZACJA BUDYNKU PUBLICZNEGO GIMNAZJUM W
JASTRZĘBI POPRZEZ WZMOCNIENIE ŚCIAN
ZEWNĘTRZNYCH, LIKWIDACJA USZKODZEŃ I OCIEPLENIE
ŚCIAN

Ogłoszenie o zamówieniu

SIWZ z załącznikami od 1-8

Załącznik nr 9 - projekt budowlany

Załącznik nr 10 - STWiOR

Załącznik nr 11 - przedmiar robót

Informacja z otwarcia ofert

Zawiadomienie o wyborze najkorzystniejszej oferty

 

Opublikowane przez: Przemysław Kępas | Data wprowadzenia: 2017-08-11 14:27:35.
Zapytanie ofertowe na obsługę
muzyczno-techniczną imprezy masowej Folkowy
Turniej Sołectw - Jastrzębia 2017

Wzór oferty

 Zobacz pełną treść zapytania

Opublikowane przez: Katarzyna Woźniak | Data wprowadzenia: 2017-08-09 12:24:11 | Data modyfikacji: 2017-08-09 12:26:20.
BUDOWA OŚWIETLENIA DROGOWEGO W MIEJSCOWOŚCI
WOJCIECHÓW – WOLA OWADOWSKA

Ogłoszenie o zamówieniu

SIWZ z załącznikami od 1-8

Załącznik nr 9 - projekt budowlany

Załącznik nr 10 - STWiOR

Załącznik nr 11 - przedmiar robót

Załączniki od 1-7 w wersji edytowalnej

Informacja z otwarcia ofert

Zawiadomienie o wyborze najkorzystniejszej oferty

 

Opublikowane przez: Przemysław Kępas | Data wprowadzenia: 2017-07-27 13:00:17.
Zapytanie ofertowe - Wyposażenie i montaż
urządzeń placu zabaw na działce Nr 1184 w
miejscowości Goryń gmina Jastrzębia

Załączniki do zapytania ofertowego

Zawiadomienie o wyborze najkorzystniejszej oferty

 Zobacz pełną treść zapytania

Opublikowane przez: Małgorzata Szczepaniak | Data wprowadzenia: 2017-07-13 14:47:34 | Data modyfikacji: 2017-07-13 15:19:08.
„Przebudowa drogi gminnej relacji: Bartodzieje
– Olszowa – Wola Goryńska od skrzyżowania z
DP 3516W do skrzyżowania z DP 3518W, wraz z
obsługa terenów przyległych” – ETAP II o
dł. 731,85 m.

SIWZ, załączniki

Dokumentacja

Ogłoszenie o rozstrzygnięciu

Zawiadomienie o unieważnieniu postępowania

 ogloszenie nr 537299.docx

Opublikowane przez: Konrad Borowski | Data wprowadzenia: 2017-06-22 14:45:57.
,,Remonty obiektów budowlanych na terenie Gminy
Jastrzębia z podziałem na zadania: Zadanie 1-
Remont budynku przy ujęciu wody w Mąkosach
Starych Zadanie 2 – Wymiana okien w budynku w
Owadowie Zadanie 3 – Remont dachu w Publicznej
Szkole Podstawowej w Bartodziejach Zadanie 4 –
Remont elewacji budynku Urzędu Gminy w Jastrzębi
‘’.

Zał. nr 9 do SIWZ

Załączniki od nr 1 do nr 8

Ogłoszenie o zamówieniu

Ogłoszenie o rozstrzygnięciu

Zawiadomienie o wyborze kolejnej najkorzystniejszej oferty - zad. nr 3

 SIWZ

Opublikowane przez: Małgorzata Szczepaniak | Data wprowadzenia: 2017-06-12 15:54:18.
Trzeci przetarg nieograniczony - Projekt:
AKTYWIZACJA MIESZKAŃCÓW POPRZEZ TWORZENIE MIEJSC
REKREACJI W GMINIE JASTRZĘBIA z podziałem na
zadania (boisko sportowe, plac zabaw )

Załącznik do SIWZ

Zadanie Nr 1

Zadanie nr 2

Ogłoszenie

Ogłoszenie o rozstrzygnięciu

Ogłoszenie o udzieleniu zamówienia

 SIWZ

Opublikowane przez: Małgorzata Szczepaniak | Data wprowadzenia: 2017-06-06 14:21:45.
BUDOWA SIECI WODOCIĄGOWEJ W MIEJSCOWOŚCI
DĄBROWA KOZLOWSKA

SIWZ

Załącznik nr 1

Załącznik nr 2 - Przedmiar

Załącznik nr 3

Załącznik nr 4

Załącznik nr 5

Załącznik nr 6

Załącznik nr 7

Załącznik nr 8

Załącznik nr 9

Załącznik nr 10 - specyfikacja techniczna

Załącznik nr 11 - dokumentacja projektowa

Ogłoszenie o rozstrzygnięciu

Ogłoszenie o udzieleniu zamówienia

 Zobacz pełną treść ogłoszenia

Opublikowane przez: Katarzyna Woźniak | Data wprowadzenia: 2017-05-23 08:45:45 | Data modyfikacji: 2017-05-26 14:16:45.
BUDOWA OŚWIETLENIA DROGOWEGO NA TERENIE GMINY
JASTRZĘBIA

Specyfikacja Istotnych Warunków Zamówienia

Formularze, załączniki nr 1 - 12 do SIWZ

Załącznik nr 13 - Dokumentacja techniczna

Ogłoszenie o rozstrzygnięciu

Unieważnienie postępowania w zakresie zadania nr 2

 Ogloszenie nr 509589.docx

Opublikowane przez: Konrad Borowski | Data wprowadzenia: 2017-05-16 14:00:38.
BUDOWA SIECI KANALIZACJI SANITARNEJ W
MIEJSCOWOŚCIACH KOZŁÓW I DĄBROWA KOZŁOWSKA

SIWZ

Załącznik nr 1

Załącznik nr 2

Załącznik nr 2a

Załącznik nr 3

Załącznik nr 4

Załącznik nr 5

Załącznik nr 6

Załącznik nr 7

Załącznik nr 8

Załącznik nr 9

Załącznik nr 10

Załącznik nr 11

Załącznik nr 12

Odpowiedzi na pytania, wyjaśnienia SIWZ

Ogłoszenie o rozstrzygnięciu

Ogłoszenie o udzieleniu zamówienia

 Zobacz pełną treść ogłoszenia

Opublikowane przez: Katarzyna Woźniak | Data wprowadzenia: 2017-05-15 14:18:27 | Data modyfikacji: 2017-05-26 14:16:31.
Drugi przetarg nieograniczony - Projekt:
AKTYWIZACJA MIESZKAŃCÓW POPRZEZ TWORZENIE MIEJSC
REKREACJI W GMINIE JASTRZĘBIA z podziałem na
zadania (boisko sportowe, siłownie terenowe, plac
zabaw itp.)

SIWZ

Formularze, załączniki do SIWZ

Zadanie 1 - Dokumentacja techniczna zadania

Zadanie 2 - Dokumentacja techniczna zadania

Zadanie 3 - Dokumentacja techniczna zadania

Ogłoszenie o rozstrzygnięciu

Zadanie 4 - Dokumentacja techniczna zadania

Zadanie 5 - Dokumentacja techniczna zadania

Zadanie 6 - Dokumentacja techniczna zadania

Zestawineie z otwarcia ofert

Unieważnienie przetargu

Rozstrzygnięcie postępowania

Ogłoszenie o udzieleniu zamówienia

 Zobacz pełną treść ogłoszenia

Opublikowane przez: Katarzyna Woźniak | Data wprowadzenia: 2017-05-09 13:06:06 | Data modyfikacji: 2017-05-09 13:14:13.
Przetarg nieograniczony ,,Remonty obiektów
budowlanych na terenie Gminy Jastrzębia z
podziałem na zadania: Zadanie 1- Remont budynku
przy ujęciu wody w Mąkosach Starych Zadanie 2
– Wymiana okien w budynku w Owadowie Zadanie 3
– Remont dachu w Publicznej Szkole Podstawowej w
Bartodziejach Zadanie 4 – Remont elewacji
budynku Urzędu Gminy w Jastrzębi ‘’.

Dokumntacja przetargowa

Załacznik nr 9 do SIWZ

Informacja o przetargu z art. 86 ust. 5 Ustawy Prawo Zamówień Publicznych

Unieważnienie przetargu

 

Opublikowane przez: Małgorzata Szczepaniak | Data wprowadzenia: 2017-04-28 19:52:20 | Data modyfikacji: 2017-04-28 20:38:37.
Przetarg nieograniczony - Projekt: AKTYWIZACJA
MIESZKAŃCÓW POPRZEZ TWORZENIE MIEJSC REKREACJI W
GMINIE JASTRZĘBIA z podziałem na zadania

SIWZ

Formularze, załączniki do SIWZ

Zadanie 1 - Opis techniczny

Zadanie 1 - Przedmiar

Zadanie 1 - Rys. 1 Orientacja

Zadanie 1 - Rys. 2 Sytuacja

Zadanie 1 - Rys. 3 Schemat

Zadanie 1 - Przekrój

Zadanie 1 - Rys. 5 Odwodnienie

Zadanie 1 - Rys. 6 Plan sytuacyjny

Zadanie 1 - Strona tytuowa

Zadanie 1 - Szczegółowa Specyfikacja Techniczna

Zadanie 2 - Opis techniczny

Zadanie 2 - Przedmiar

Zadanie 2 - Rys. 1 Orientacja

Zadanie 2 - Rys. 2 Sytuacja

Zadanie 2 - Rys. 3 Elementy placu

Zadanie 2 - Rys. 4 Odwodnienie

Zadanie 2 - Schemat fundament

Zadanie 2 - Specyfikacja techniczna wykonania robót

Zadanie 3 - Opis techniczny

Zadanie 3 - Przedmiar

Zadanie 3 - Rys. 1 Orientacja

Zadanie 3 - Rys. 2 Sytuacja

Zadanie 3 - Rys. 3 Elementy placu

Zadanie 3 - Rys. 4 Odwodnienie

Zadanie 3 - Schemat fundament

Zadanie 3 - Specyfikacja techniczna wykonania robót

Zadanie 4 - Opis techniczny

Zadanie 4 - Przedmiar robót

Zadanie 4 - Rys. 1 Orientacja

Zadanie 4 - Rys. 2 Sytuacja

Zadanie 4 - Rys. 3 Elementy placu

Zadanie 4 - Rys. 4 Odwodnienie

Zadanie 4 - Schemat fundament

Zadanie 4 - Specyfikacja techniczna wykonania robór

Zadanie 5 - Opis techniczny

Zadanie 5 - Przedmiar

Zadanie 5 - Rys. 1 Orientacja

Zadanie 5 - Rys. 2 Sytuacja

Zadanie 5 - Rys. 3 Plac 1

Zadanie 5 - Rys. 4 Plac 2

Zadanie 5 - Rys. 5 Plac 3

Zadanie 5 - Rys. 6 Plac 4

Zadanie 5 - Rys. 7 Plac 5

Zadanie 5 - Rys. 8 Plac 6

Zadanie 5 - Rys 9 Plac 7

Zadanie 5 - Specyfikacja techniczna wykonania robót

Zadanie 6 - Opis techniczny

Zadanie 6 - Przedmiar

Zadanie 6 - Rys. 1 Orientacja

Zadanie 6 - Rys. 2 Sytuacja

Zadanie 6 - Rys. 3 Elementy placu

Zadanie 6 - Rys 4 Odwodnienie

Zadanie 6 - Rys. 5 Przekroje nawierzchni

Zadanie 6 - Specyfikacja techniczna

Unieważnienie przetargu - Zadanie 1

Unieważnienie przetargu - Zadanie 2,3,4,5 i 6

 Zobacz pełną treść ogłoszenia

Opublikowane przez: Katarzyna Woźniak | Data wprowadzenia: 2017-04-24 09:47:57.
Przetarg nieograniczony - OGRODZENIE HYDROFORNI W
MĄKOSACH STARYCH

Wyjaśnienia do SIWZ-ogrodzenie Makosy.pdf

Wyjaśnienia do SIWZ-ogrodzenie Makosy.pdf

Informacja na podstawie art. 86 ust 5 PZP

SIWZ

Zał.Nr 1 do SIWZ

Zał.Nr 2 do SIWZ

Zał.Nr 3 do SIWZ

Zał.Nr 4 do SIWZ

Zał.Nr 5 do SIWZ

Zał.Nr 6 do SIWZ

Zał.Nr 7 do SIWZ

Zał.Nr 8 do SIWZ

Załącznik nr 1 do opisu przedmiotu zamówienia

Załącznik nr 2 do opisu przedmiotu zamówienia

Wyjaśnienia do SIWZ

Rozstrzygnięcie przetargu

Ogłoszenie o udzieleniu zamówienia

 Zobacz treść ogłoszenia

Opublikowane przez: Małgorzata Szczepaniak | Data wprowadzenia: 2017-04-19 18:36:44.
Zapytanie ofertowe na wykonanie dokumentacji
projektowej dla zadania pn "Rozbudowa Publicznej
Szkoły Podstawowej w Lesiowie"
 Zobacz treśc zapytania

Opublikowane przez: Małgorzata Szczepaniak | Data wprowadzenia: 2017-04-06 15:18:39 | Data modyfikacji: 2017-04-06 15:24:24.
Zapytanie ofertowe na dostawę i montaż agregatu
prądotwórczego
 Zobacz treść zapytania

Opublikowane przez: Małgorzata Szczepaniak | Data wprowadzenia: 2017-04-06 15:08:59.
USŁUGI W ZAKRESIE BIEŻĄCEGO UTRZYMANIA DRÓG
BĘDĄCYCH W ZARZĄDZIE ZAMAWIAJĄCEGO

Zmiana ogłoszenia

SIWZ

Załącznik nr 1

Załącznik nr 2

Załącznik nr 3

Załącznik nr 4

Załącznik nr 5

Załącznik nr 6

Załącznik nr 7

Załącznik nr 8

Załącznik nr 9

Załącznik nr 10

Załącznik nr 11

Rozstrzygnięcie postępowania

 Ogłoszenie o zamówieniu

Opublikowane przez: Konrad Borowski | Data wprowadzenia: 2017-03-15 09:48:52 | Data modyfikacji: 2017-03-15 09:57:50.
Rozbudowa Publicznej Szkoły Podstawowej w
Lesiowie

Informacja na podst. art. 86 ust. 5 PZP.pdf

SIWZ

Załącznik nr 1 SIWZ

Załącznik nr 2 SIWZ

Załącznik nr 3 SIWZ

Załącznik nr 4 SIWZ

Załącznik nr 5a SIWZ

Załącznik nr 6 SIWZ

Załącznik nr 7 SIWZ

Załącznik nr 9 SIWZ

Załącznik nr 8 SIWZ

Załącznik nr 10 SIWZ

Załącznik nr 1 do Programu Funkcjonalno-Użytkowego

Załącznik nr 2 do Programu Funkcjonalno-Użytkowego

Wyjaśnienia do SIWZ

Rozstrzygnięcie postępowania

 Ogloszenie o zamowieniu nr 21574.pdf

Opublikowane przez: Konrad Borowski | Data wprowadzenia: 2017-02-08 13:30:18.
Plan Zamówień Publicznych na 2017 rok
 Zobacz treść dokumentu

Opublikowane przez: Konrad Borowski | Data wprowadzenia: 2017-02-07 13:15:39 | Data modyfikacji: 2017-02-07 13:38:45.
Rozbudowa Publicznej Szkoły Podstawowej w
Lesiowie (w systemie zaprojektuj i wybuduj)

SIWZ

Zał. nr 1 do SIWZ

Zał. nr 2 do SIWZ

Zał. nr 3 do SIWZ

Zał. nr 4 do SIWZ

Zał. nr 5 do SIWZ

Zał. nr 6 do SIWZ

Zał. nr 7 do SIWZ

Zał. nr 8 do SIWZ

Zał. nr 9 do SIWZ

Zał. nr 10 do SIWZ

Unieważnienie przetargu

 Zobacz treść ogłoszenia

Opublikowane przez: Małgorzata Szczepaniak | Data wprowadzenia: 2017-01-20 21:43:51 | Data modyfikacji: 2017-01-20 23:58:57.
Data wprowadzenia: 2017-01-20 21:43:51
Data modyfikacji: 2017-01-20 23:58:57
Opublikowane przez: Małgorzata Szczepaniak